Le super typhon Sinlaku, la tempête la plus puissante de 2026 à ce jour, se dirige vers le territoire américain
Auteur: Mathieu Gagnon
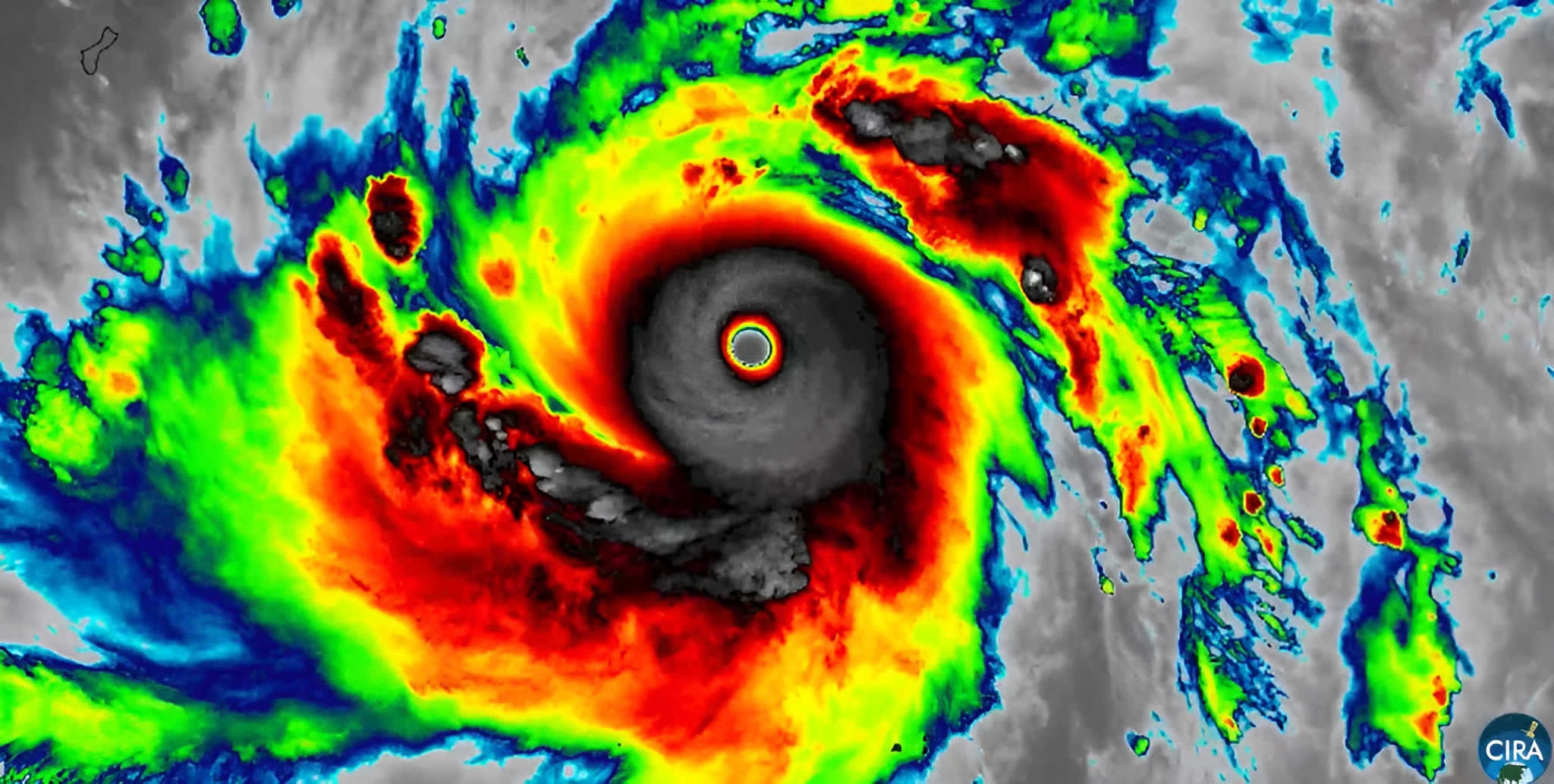
Un monstre climatique s’éveille dans le Pacifique

Le Super Typhon Sinlaku, la tempête la plus puissante de la planète en 2026 jusqu’à présent, est arrivé. Ce colosse météorologique menace désormais directement un territoire américain dans une course qui tient les autorités en alerte maximale.
Au 13 avril à 06h45 UTC, ce système dévastateur déchire l’Océan Pacifique Nord-Ouest avec des rafales de vents qualifiées de « violentes » par l’Autorité Météorologique du Japon. Les mesures donnent le vertige : jusqu’à 85 mètres par seconde, soit 190 miles par heure.
Les îles Mariannes du Nord, territoire américain du Pacifique, se trouvent directement sur sa trajectoire. La fenêtre pour se préparer se referme rapidement.
De modestes débuts à une puissance cataclysmique

Sinlaku n’a pas toujours été ce monstre. La tempête est née d’origines bien plus modestes : un simple amas de perturbations atmosphériques mineures dispersées au-dessus du Pacifique Ouest. Ces fragments météorologiques se sont progressivement regroupés, consolidant leurs forces dans une danse climatique aussi fascinante que terrifiante.
Le 9 avril marque le tournant décisif : les conditions se sont alignées pour transformer cette dépression en typhon officiel. Dès lors, Sinlaku a commencé à rouler vers le nord-ouest à travers l’immensité océanique, gagnant en intensité à chaque kilomètre parcouru.
En quelques jours seulement, le système est passé du stade embryonnaire à celui de super typhon. Cette escalade rapide témoigne des conditions idéales qu’il a rencontrées sur sa route, un carburant naturel qui a alimenté son développement explosif.
Les Mariannes dans la ligne de mire du typhon

Au cours des prochains jours, Sinlaku va sculpter sa trajectoire destructrice au-dessus des îles Mariannes du Nord. Les prévisions indiquent que les vents devraient légèrement diminuer avant l’impact terrestre, mais cette atténuation reste toute relative : les îles affronteront encore des vents féroces, des pluies torrentielles et des houles océaniques dangereuses.
Guam, l’île voisine, ne devrait pas se trouver sur le chemin direct de la tempête. Néanmoins, les résidents reçoivent des avertissements stricts pour se préparer aux conséquences indirectes, notamment des pluies diluviennes et des inondations. La route du typhon continuera ensuite à travers le reste de l’archipel des Mariannes, s’affaiblissant progressivement dans sa remontée.
Le Service Météorologique National américain (NWS) a publié un communiqué le lundi 13 avril, précisant : « Sinlaku is expected to gradually weaken the next few days, but is still expected to cross the Marianas as a category 4 or 5 typhoon. » Un affaiblissement graduel, certes, mais la menace reste de catégorie maximale.
Le ton se fait plus pressant dans la suite du communiqué du NWS : « For those under a Warning in the Marianas, the window of time to complete preparations for the protection of life and property is very soon to close. Evacuate if directed to do so by local officials, or if your home is vulnerable to high winds or flooding. » Le message est clair : le temps des préparatifs touche à sa fin. Les habitants doivent agir maintenant.
Typhoon Alley, l’usine à catastrophes du Pacifique
La trajectoire de Sinlaku ne doit rien au hasard. Le typhon emprunte ce que les météorologues appellent « Typhoon Alley », une portion du Bassin du Pacifique Ouest qui fabrique certaines des tempêtes les plus puissantes de la planète. Cette région possède tous les ingrédients d’une recette parfaite pour les cyclones tropicaux.
Le Bassin du Pacifique Ouest abrite les eaux océaniques ouvertes les plus chaudes de la Terre. Cette chaleur, combinée à l’humidité qui s’en dégage, fournit le carburant et l’énergie nécessaires au développement des tempêtes. Mais ce n’est pas tout : ce bassin est exceptionnellement large, offrant aux systèmes météorologiques l’espace nécessaire pour se renforcer sur des milliers de miles d’eau libre avant de toucher terre sur les côtes et les îles dispersées de l’océan.
Cette géographie particulière explique pourquoi les typhons du Pacifique Ouest atteignent régulièrement des intensités rarement observées ailleurs dans le monde. Sinlaku bénéficie pleinement de ces conditions idéales, accumulant sa puissance sur un parcours océanique sans obstacles.
Un autre cyclone sème la mort dans l’hémisphère sud

Pendant ce temps, au sud de l’équateur, un autre système majeur a tracé son propre chemin destructeur. La semaine dernière, le Cyclone Tropical Maila a pris de la force au-dessus de la Mer des Salomon, cette étendue d’eau nichée entre la Papouasie-Nouvelle-Guinée et les îles Salomon. Sa position géographique est inhabituelle : il s’est développé exceptionnellement près de l’équateur pour une tempête de cette intensité.
Au cours du weekend passé, Maila a touché terre en Papouasie-Nouvelle-Guinée avec des effets mortels. Les bilans remontent progressivement : au moins 11 personnes ont été tuées selon les rapports. Les circonstances sont tragiques : huit victimes ont péri dans un glissement de terrain, tandis que deux autres ont été frappées par la chute d’arbres.
Cette tempête simultanée rappelle que la saison cyclonique ne connaît pas de frontières. Alors que l’attention se concentre sur Sinlaku dans le Pacifique Nord, d’autres drames se jouent dans l’hémisphère opposé, témoignant de la puissance globale des phénomènes météorologiques extrêmes en ce début 2026.
La course contre la montre est lancée

Dans le Pacifique Nord, tous les regards restent rivés sur Sinlaku. L’ampleur exacte de son impact reste à déterminer dans les heures qui viennent, mais les autorités ne laissent planer aucun doute : cette tempête bouillonnante représente une menace potentielle pour la vie humaine à travers l’ensemble des Mariannes.
Le Service Météorologique National a renforcé ses avertissements dans un message final sans ambiguïté : « Restez à l’intérieur pendant les fortes pluies et les conditions venteuses associées au super typhon Sinlaku. L’apparition de vents dommageables, et potentiellement destructeurs, constituera une menace mortelle pour ceux qui s’aventurent à l’extérieur. » Rester à l’intérieur n’est pas une simple recommandation, c’est une nécessité vitale.
Les prochaines heures seront décisives pour les habitants des îles concernées. Entre préparatifs de dernière minute et évacuations possibles, la population se prépare à affronter l’un des phénomènes météorologiques les plus puissants jamais enregistrés en ce début d’année. La nature déploie sa force brute, l’humanité se protège.
Selon la source : iflscience.com